Болезнь Легга-Кальве-Пертеса (асептический или аваскулярный некроз головки бедренной кости) отмечается у собак карликовых и декоративных пород, особенно ей подвержены той-терьеры, йоркширский терьеры, карликовые пинчеры, пудели, джек рассел терьеры, вест хайленд уайт терьеры, мопсы.
Это заболевание бедренной кости и тазобедренного сустава, связанное с нарушением кровоснабжения головки бедренной кости и нарушением питания её суставного хряща с последующим некрозом.
Относится к группе болезней объединяемых под общим названием остеохондропатии.
Какова причина болезни Пертеса?
Истинная причина развития болезни Пертеса у собак не выяснена. У собак нет половой предрасположенности к данной болезни. Наиболее часто поражается один сустав и только в 10-15 % случаев оба сустава. Большинство исследователей считает такое поражение суставов наследственным заболеванием.
В последнее время доказано определённое влияние половых гормонов на возникновение и развитие болезни.
Среди не самых редких причин называют излишнюю нагрузку на поверхности сустава, которая возникает из-за слабости мышц и связок у щенков.
Часто при обследовании собак, пораженных болезнью Пертеса, одновременно обнаруживают признаки недостаточной функции щитовидной железы, гипофизарный вариант карликовости (гипофизарный нанизм), а также ахондроплазию (наследственно обусловленное изменение в процессе окостенения скелета конечностей, которое может стать причиной коротконогости).
Все это свидетельствует об эндогенных, т.е. лежащих во внутренней среде организма, причинах возникновения болезни Пертеса.
Как развивается данное заболевание?
В развитии болезни Пертеса различают пять стадий:
- Скрытая стадия. Микроскопические изменения в костной ткани головки бедра, постепенно переходящие в полный некроз (отмирание) губчатого вещества кости и костного мозга. При этом хрящ, покрывающий головку, остается совершенно целым. Внешние проявления — проходящая в покое боль, небольшая хромота у собаки;
- Импрессионный перелом. Некротизированная головка бедра не способна выдерживать нагрузку и происходит субхондральный перелом с последующим уплощением и вдавливанием. Собака обычно слегка опирается при движении на больную конечность;
- Рассасывание (резорбция). Происходит медленное рассасывание некротизированных участков за счет клеточных элементов окружающих здоровых тканей. В глубину некротизированных участков начинает проникать фиброзно-хрящевая ткань. Собака практически перестает опираться на пораженную конечность при таком поражении;
- Восстановление (репарация). Происходит замещение костной тканью некротизированных участков. Но форма головки деформирована и не восстанавливается. Определяется болезненность сустава у собаки с ограничениями движения;
- Конечная. Костная структура головки почти полностью восстанавливается, но форма существенно изменена. Очень редко форма головки остается близкой к шарообразной, чаще всего она принимает форму гриба или валика. Кроме того, шейка бедра укорачивается и утолщается, а иногда, совсем исчезает. Пораженная конечность укорочена, атрофична. Боли в суставе у собаки почти отсутствуют, но движение резко ограниченно.
Как проявляется болезнь Пертеса у собак?
Болезнь поражает исключительно молодых собак в возрасте от 4 до 12 месяцев. На бегу собачка подтягивает одну из задних лапок. Иногда пропускает несколько шагов, держа её на весу. При внимательном осмотре часто можно заметить уменьшение толщины пораженного бедра – гипотрофию мышц. С течением времени, с развитием болезни, собака при беге держит конечность на весу, при передвижении шагом иногда на нее наступая. Быстро нарастает атрофия мышц, костные выступы бедренной кости выступают более отчетливо. При обнаружении перечисленных признаков у собаки владельцу рекомендуется как можно скорее обратиться к ветеринарному врачу.
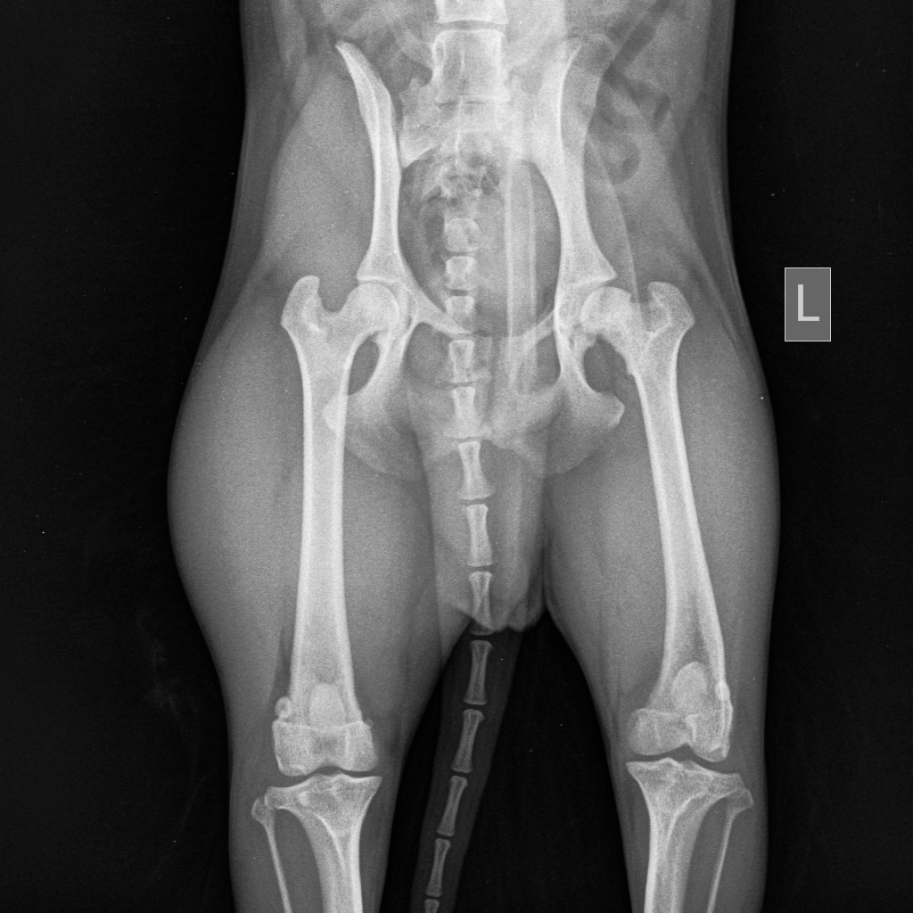
Как диагностировать асептический некроз головки бедра?
Диагностика болезни Пертеса у собак предполагает клиническое и инструментальное исследование.
Клинически оценивается вид хромоты у собак, мышечную массу области тазобедренного сустава, подвижность тазобедренного сустава.
Инструментальные методы включают в себя рентгенографию тазобедренного сустава, артроскопию, компьютерную томографию, УЗИ тазобедренного сустава.
Данные диагностические мероприятия позволяют точно поставить диагноз и дифференцировать от таких заболеваний как вывих надколенника, вывих тазобедренного сустава, дисплазия ТБС, инфекционные артриты, переломы головки и шейки бедра.
Как проводиться лечение болезни Пертеса?
В большинстве случаев попытки консервативного лечения, которое включает в себя клеточное содержание на протяжении 4-6 месяцев, хорошее питание и дачу противовоспалительных препаратов, оканчиваются неудачно и приводят к еще более сильной гипотрофии бедренных групп мышц.
Более целесообразно провести хирургическое лечение, которое заключается в удалении головки и шейки бедренной кости и создании псевдокапсулы тазобедренного сустава.
В Ветеринарном центре доктора Базылевского А.А. можно получить консультацию у хирурга-ортопеда и произвести резекционную артропластику (удаление головки бедренной кости) после необходимого обследования.
Как собака будет себя чувствовать после операции?
После операции нормальные движения в тазобедренном суставе к животному возвращаются по-разному, но в среднем срок реабилитации составляет от 1-го до 6 месяцев, в зависимости от степени гипотрофии мышц.
Необходимо, чтобы через 7-10 дней после операции собака уже начинала пассивно пользоваться конечностью. После снятия швов для ускорения восстановления хорошо помогает гидротерапия (плавание) и другие методы физиотерапии.






